When the the ball and socket of a dog's hip joint do not fit together properly - problems can arise.

Hip dysplasia is when the hip joint becomes partially or completely dislocated- the ball and socket of the hip joint do not fit together properly. It is a complex condition involving both genetic and environmental factors that can cause varying degrees of pain and loss of function in the affected joint. The environment that a dog is raised in, as well as injuries, can play a significant role in the development of hip dysplasia. Diet and body condition of puppies will impact how the bones and joints develop; puppies who are not provided proper nutrition or who are overweight are at greater risk for orthopedic conditions.
The single largest risk factor for hip dysplasia is genetics, with heritability estimates ranging from 0.1- 0.83 depending on the methods and analysis utilized, but average 0.57. Unfortunately, many genes are involved so no genetic test is available to date. Therefore, veterinary specialists recommend x-rays to screen potential breeding dogs. While a slow process, controlled breeding programs lead to improved scores in hip dysplasia over several generations.
Typically, when screening for hip dysplasia some form of chemical restraint, anesthesia or sedation is recommended for muscle relaxation allowing better positioning and a less fearful experience for the dog. Positioning of dogs to take radiographs does not result in or worsen hip dysplasia in any way- the procedure is a safe and effective way to screen dogs for the presence of the condition.
For some screenings (e.g., OFA), most general practitioners are able to take the radiographs, verify the identity of the dog, and aid in submitting documents to the screening and registration organization. PennHIP screening requires a veterinarian who has completed special training. More information about symptoms, diagnostics, treatment, and outcomes for dogs affected with hip dysplasia is provided by the American College of Veterinary Surgeons.
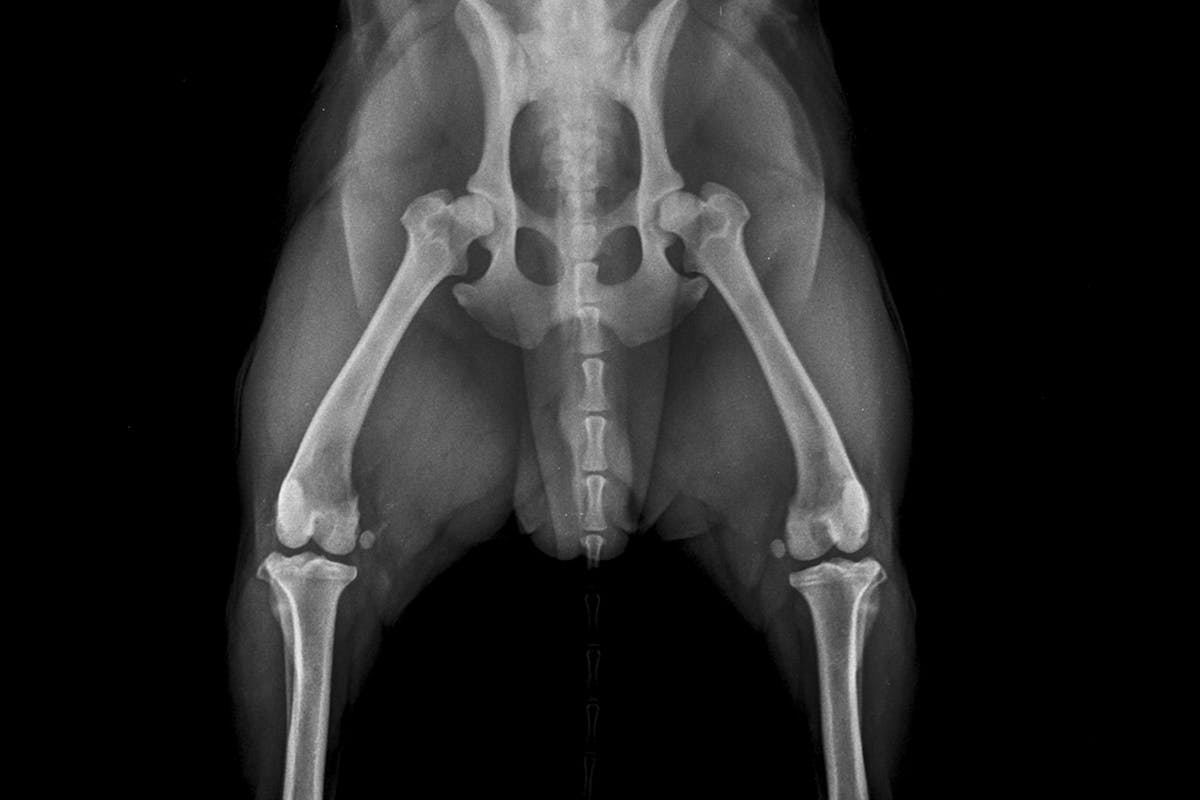
Definitive screening
Submitted radiographs are independently reviewed by three randomly selected board-certified veterinary radiologists. Each radiologist assesses nine different anatomic areas of the joint for deviations consistent with hip dysplasia. Breed, age, and sex are also considered in the assessment. A grade is assigned based on the phenotype, or appearance, of the hip conformation:
Dogs must be at least 2 years of age to undergo the definitive screening as this has been determined to be the minimum age that the assessment is most reliable and predictive (Adams, 2000; Corley et al., 1997).
Preliminary screenings are available for dogs less than 2 years of age. Preliminary radiographs are reviewed using the same assessment method but are graded by a single in-house radiologist, a less rigorous assessment procedure. Preliminary screening is a useful tool for breeders to make decisions about whether to retain a dog for future breeding or to place a dog in a pet home earlier, thereby reducing the amount of time and resources expended on a dog that will not be bred.
Step by step directions for submitting films to OFA can be found here.
PennHIP utilizes a unique assessment protocol whereby laxity of the hip joint is measured via three different radiographic views or positions. Research has shown this to be a reliable and accurate method to identify individuals at risk of developing hip dysplasia, including in dogs as young as 16 weeks of age. Dogs will be given a distraction index (DI), a measurement of the laxity (looseness) in the hip joint. An individual dog’s DI can be compared to the breed’s average DI to aid breeding decisions. Veterinarians need to complete specialized training in order to do the screening. Help with finding a veterinarian in your area can be found here.
British Veterinary Association (BVA) employs a system whereby two expert veterinary surgeons review radiographs, screening for abnormalities and assigning a score which can then be compared to the breed median. Dogs must be at least 1 year of age to undergo screening. Submission information can be found here.
Federation Cynologique Internationale (FCI) is the European-based international canine organization promoting purebred dogs. The hip dysplasia screening process they use requires radiographs be interpreted and scored by a veterinary specialist approved by the national breed club of each breed. Dogs must be at least 1 year of age or 18 months for large and giant breeds at time of screening.
SV is a German program for German Shepherd Dogs that screens hip films and records the results in the studbook and on the pedigree to work toward improving the breed. Dogs diagnosed with moderate or severe hip dysplasia may not be used for breeding. Dogs must be at least 1 year of age at the time of assessment.
OFA has created the Hip International Ratings Matrix to better understand how these different ratings systems compare.
References:
Adams. Radiographic Diagnosis of Hip Dysplasia in the Young Dog. Veterinary Clinics of NA: Small Animal Practice. Vol 30, No 2, March 2000.
Corley et al. Reliability of Early Radiographic Evaluation for Canine Hip Dysplasia Obtained from the Standard Ventrodorsal Radiographic Projection. JAVMA. Vol 211, No. 9, November 1997.
Smith et al. Coxofemoral joint laxity from distraction radiography and its contemporaneous and prospective correlation with laxity, subjective score, and evidence of degenerative joint disease from conventional hip-extended radiography in dogs. Am J Vet Res. Vol 54, No 7, 1993.

Are you a responsible breeder? We'd love to recognize you. Connect directly with informed buyers, get access to free benefits, and more.